Sunday, 12 October 2025

Hilo Hawaii - October 11, 2025

Hilo, Hawaii – A Blend of History, Culture, and Natural Beauty 

Nestled along the lush, tropical eastern shore of the Big Island, Hilo is one of Hawaii’s most charming and underrated gems. As the island’s largest town and one of the wettest in the United States, Hilo boasts verdant landscapes, a rich cultural history, and access to some of the most breathtaking natural wonders in the state.

A Brief History of Hilo

Originally a farming and fishing community, Hilo has deep roots in Hawaiian history. Long before Western contact, it was home to ancient Hawaiian settlements. In the 19th century, it evolved into a thriving sugarcane town, drawing immigrants from Japan, China, Portugal, and the Philippines—many of whose descendants still call Hilo home. The town has faced natural challenges, most notably devastating tsunamis in 1946 and 1960, which reshaped its waterfront. Today, Hilo is a resilient, vibrant town filled with cultural pride and natural beauty.

Sights to See in Hilo

  • Volcanoes National Park: Just a short drive from the port, this is one of Hawaii’s top attractions. Visitors can see steaming craters, lava tubes, and sometimes even active lava flows.
  • Rainbow Falls & Akaka Falls: Both waterfalls are easily accessible from Hilo and offer postcard-perfect photo ops.
  • Liliʻuokalani Gardens: A peaceful 30-acre Japanese-style garden along Banyan Drive, built in honor of Queen Liliʻuokalani, Hawaii’s last reigning monarch.
  • Hilo Farmers Market: Open daily, this colorful and bustling market offers everything from fresh tropical fruits and local vegetables to handmade crafts and souvenirs.

Our Visit: A Relaxing Day at Carlsmith Beach Park

We’ve visited Hilo several times over the past ten years, usually walking the scenic two-mile (or 3-kilometer) shoreline route into town. That walk includes a peaceful stroll through the gorgeous Liliʻuokalani Gardens, and we enjoyed doing that as recently as last year. But for this visit, we decided to switch things up and head in the opposite direction—to Carlsmith Beach Park.

This local favorite is just a quick $10 Uber ride (or a free but infrequent bus ride) from the port. We opted for the Uber this time—air-conditioned comfort was hard to pass up, especially since the bus runs about once an hour… and on “Hawaiian time.”

Carlsmith Beach Park is a true gem. Unlike sandy beaches, this park is mostly grassy, built atop ancient lava flows with well-maintained paths, stairways, and railings leading directly into the water. It’s family-friendly, with lifeguards on duty, clean restrooms, and outdoor showers.

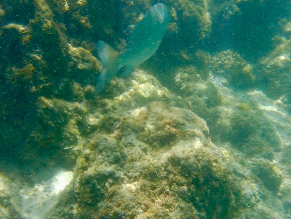
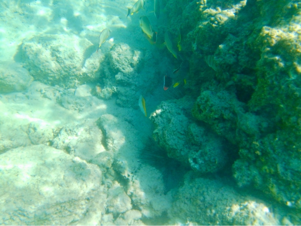
The water here is a mix of warm ocean currents and refreshing cool spots, thanks to a freshwater spring that feeds into the lagoon. The snorkeling isn’t world-class, but it’s quite good—especially close to the easy-access stairs. On this sunny Saturday, the park was alive with locals enjoying picnics and parties, including a lively children’s birthday celebration.

Final Thoughts

Every visit to Hilo brings something new. Whether you’re exploring its historic downtown, marveling at the raw power of the nearby volcanoes, or just relaxing at a beach park surrounded by locals, Hilo offers a peaceful, authentic slice of Hawaiian life. We’re grateful for yet another lovely day here, and already looking forward to the next time we return to this beautiful Big Island port.

Aloha from Hilo!































No comments:

Post a Comment